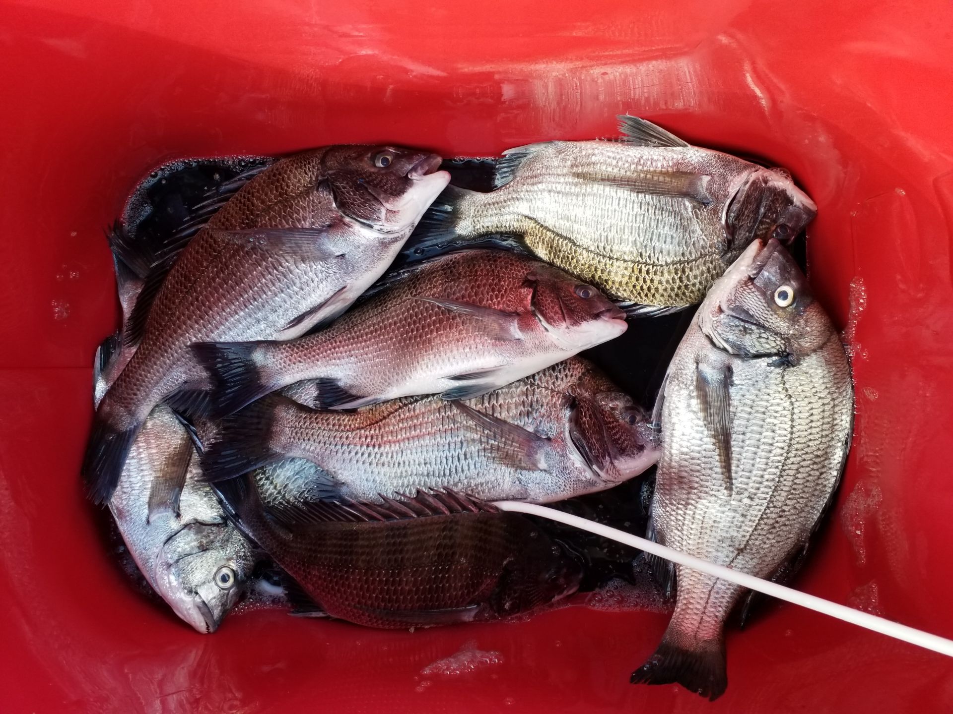
싸이즈는 작아지고 마리수는 늘어나내요
농어출조는 유속도 느리고 수문개방 영향으로 몇마리 안나왔다고 하내요
조심히들 올라가시고 고생들 많으셧어요
23년 6월9일 갯바위 감성돔 조황
청해낚시 577
2023년도6월 첫 농어(외수질)조황 입…
청해낚시 613
22년도11월3일 내만우럭낚시
청해낚시 1,455
22년6월1일 선상감성돔조황
청해낚시 1,646
22년도 4월23일 우럭조황
청해낚시 1 2,127
7월17일 감성돔 선상 1분 조황
청해낚시 3,595
6월 19일 보트 선상 감성돔 조황입니다
청해낚시 3,497
6월19일 장보고 농어 조황
청해낚시 3,569
5월23일 농어 조황
청해낚시 1 3,761
10월 23일 장보고
청해낚시 4,160
10월 22일 장보고
청해낚시 3,258
10월 21일 명승호 조황
청해낚시 3,465
10월 21일 장보고
청해낚시 1 3,112
10월 20일 청룡호
청해낚시 3,575
10월 20일 장보고 조황
청해낚시 2,668
장보고 12~19일까지 조황입니다.
청해낚시 2,633
9일 10일 11일 명승호
청해낚시 2,433
9일 10일 11일 장보고 투척샷입니다.
청해낚시 2,400
9일 10일 11일 청룡호 조황
청해낚시 2,644
10월 8일 명승호 조황
청해낚시 2,297